More in World

Philippines Aims to Finalize South China Sea Code of Conduct During ASEAN Chairmanship
The Department of Foreign Affairs (DFA) Secretary Ma. Theresa Lazaro has expressed optimism that the Philippines’ upcoming chairmanship of the Association of Southeast Asian Nations (ASEAN) in 2026 will see the completion of the long-delayed Code of Conduct (COC) for the South China Sea. This development comes amid mounting regional tensions involving China, the Philippines, and other claimant nations. Speaking at a press briefing on November 17 during the country's ASEAN chairmanship launch, Lazaro indicated that the negotiations have progressed significantly over the past several years. She highlighted that both ASEAN and China are showing increased commitment to finalizing the agreement. "It’s been several years of discussions, and there is now a shared understanding within ASEAN and China that a code of conduct will be concluded," Lazaro said. She further pointed out that the foreign ministers had mandated the completion of the COC within a three-year timeframe as of 2023, aiming for a resolution by July 2026. Lazaro also mentioned that a scheduled meeting with China had been postponed, but underscored that this would be the final such delay under Malaysia’s ASEAN leadership. The foreign ministers’ retreat scheduled for January next year, which the Philippines will lead, is expected to focus heavily on finalizing the COC. "It is our intention — and I believe it is ASEAN’s and China’s aspiration as well — to conclude and establish a legally binding Code of Conduct," the DFA chief emphasized. However, Lazaro acknowledged the complexities involved in managing the diverse agenda of ASEAN as the chair country. "As ASEAN chair, our priority is on the bloc’s collective issues. While matters related to the conduct of external partners are important, they remain outside the immediate ASEAN agenda and can be addressed through bilateral channels," she explained. She remains confident, though, that progress toward a finalized COC is achievable given ongoing meetings both virtual and in-person, involvement from all 11 ASEAN members, and the milestones already reached. The South China Sea has been a flashpoint due to Beijing’s expansive territorial claims, enforced through deployments of coast guard vessels and fishing militias. These actions have been viewed by the Philippines and other claimant states as aggressive, disrupting fishing activities in their exclusive economic zones (EEZs). Tensions have escalated not only between the claimant countries and China but also involve external powers such as the United States and its allies. Beijing accuses Washington of interfering in regional affairs, while the US and its partners argue that China's maneuvers undermine regional peace, security, and prosperity. The Philippines’ leadership role in ASEAN provides a significant opportunity to push for diplomatic solutions aimed at stabilizing one of the world’s most strategically vital maritime regions.
World
|3 min read

ASEAN Holds Key Summit to Discuss Regional Cooperation and Development
On November 19, 2025, leaders from the Association of Southeast Asian Nations (ASEAN) gathered to engage in high-level discussions focused on enhancing cooperation across the region. The summit emphasized strategies to bolster economic integration, promote sustainable development, and strengthen political ties among member countries. Officials highlighted the importance of joint efforts in addressing common challenges such as trade facilitation, environmental protection, and security concerns. The assembly marks a significant step toward reinforcing ASEAN's role as a cohesive bloc committed to regional prosperity and stability. Participants underscored their dedication to advancing collaborative initiatives that support inclusive growth and mutual benefit.
World
|1 min read

Philippines and Palestine Explore Collaborative Opportunities Following Bilateral Talks
The Philippines and Palestine are actively exploring potential areas of collaboration after successful diplomatic engagements between Department of Foreign Affairs Secretary Theresa Lazaro and Palestinian Foreign Minister Varsen Shahin during her recent visit. In a Thursday press briefing, Minister Shahin emphasized the importance of aligning the Philippines' strengths with Palestine's needs, stating, \"We need to see what niche the Philippines has. If the Philippines is good in agriculture, the Philippines is good in healthcare… That would be an example of where we can build a relationship with the Philippines.\" She further highlighted regional cooperation, mentioning that countries like the Philippines, Vietnam, and Thailand could support Palestine on international platforms, extend trade relations, and facilitate religious pilgrimages. \"We have several objectives in related areas of mutual interest to both countries,\" Shahin remarked. During her four-day visit, the two countries signed memorandums of understanding (MOUs) covering political consultations and the formation of joint ministerial committees. The agreements target sectors including tourism, trade, and agriculture, aiming to deepen bilateral ties. Addressing the situation in Gaza following the recent ceasefire and proposed U.S. peace plan, Shahin affirmed Palestine's readiness to assume governance responsibilities. \"We’re very ready, and we have been ready for some time. It starts with relief efforts, then construction in the medium term, and then construction in the longer term, spanning five years,\" she explained. She also noted Palestine's evolving status, emphasizing, \"We cannot be judged as a normal state, as a state that has been ongoing for ages. No. We are developing, and we learn from our experiences and from our mistakes.\" Discussions with the Philippine DFA included potential humanitarian aid for Gaza. Shahin expressed openness to various forms of assistance, highlighting the significance of aligning aid with mutual interests. \"Any support, any in-kind support, any financial support, any technical support would be beneficial. We referred back to the issue of mutual interest, where the niches and where the best support can be given to the Palestinians, meeting the interests of the Philippines,\" she said. The ceasefire between Israel and Hamas, brokered as part of a U.S. President Donald Trump-led framework, marks a hopeful step forward after two years of conflict. The Philippines formally welcomed the agreement, praising the diplomatic efforts by mediators including the US, Qatar, Egypt, and Turkey. The DFA released a statement expressing gratitude for the negotiation breakthroughs and the initial hostages' release, underscoring the Philippines’ commitment to supporting peace in the region.
World
|3 min read

Israeli Airstrikes in Gaza Result in 20 Deaths Amid Ceasefire Tensions
Israeli airstrikes across Gaza on Saturday led to the deaths of at least 20 Palestinians and injured more than 80, according to local health officials, escalating tensions during a precarious ceasefire between Israel and Hamas. Eyewitnesses and medical personnel reported that the initial strike targeted a vehicle in the densely populated Rimal neighborhood, igniting a fire. It remains unclear whether all five fatalities were passengers or included nearby bystanders. Residents and first responders rushed to extinguish the flames and aid the victims. Following this, the Israeli air force conducted two additional strikes on residential homes in Deir al-Balah city and the Nuseirat refugee camp, located in central Gaza. These attacks resulted in at least 10 deaths and multiple injuries, health workers confirmed. Later the same day, another Israeli airstrike hit a home in western Gaza City, killing at least five Palestinians and causing further casualties, bringing the total death toll for Saturday to no fewer than 20. The Israeli military accused Hamas of violating the ceasefire by allowing a gunman to infiltrate Israeli-controlled Gaza territory, exploiting a humanitarian corridor used for aid deliveries in southern Gaza. The military termed this a "blatant violation of the ceasefire agreement" and stated that its strikes were in response to this breach. Conversely, a Hamas official dismissed the allegations as unfounded, calling them an "excuse to kill" and emphasized the group’s commitment to the ceasefire. Since the ceasefire was established on October 10, following more than six weeks of intense conflict, both sides have repeatedly accused each other of violations. Hamas has urged international mediators and the United States to hold Israel accountable for "escalating violations," while Israel has demanded that Hamas adhere to the ceasefire terms by releasing the remaining three deceased hostages and proceeding with disarmament measures. The ceasefire initially eased hostilities, allowing hundreds of thousands of Palestinians to return to devastated areas of Gaza. Israeli forces withdrew from urban positions, and humanitarian aid deliveries increased. Nonetheless, sporadic violence has persisted amid concerns that Hamas is attempting to strengthen its influence, and fears have grown regarding a potential de facto territorial division under dire conditions. Palestinian health authorities report that Israeli strikes have killed 316 people in Gaza since the ceasefire began, while Israel states that three of its soldiers have died and numerous militants have been targeted since the truce’s enforcement. The conflict traces back to October 7, 2023, when Hamas militants launched an assault that killed approximately 1,200 people, mostly civilians, and abducted 251 hostages in southern Israel. Israel’s subsequent military response has resulted in over 69,700 Palestinian deaths, largely civilians, according to Gaza health officials. As part of the ceasefire agreement, Hamas released all 20 surviving hostages in exchange for nearly 2,000 Palestinian prisoners and detainees held by Israel. Moreover, Hamas agreed to return the remains of 28 deceased hostages in swap for the bodies of 360 Palestinian fighters killed during the war. To date, the remains of 25 hostages have been returned, while Israel has repatriated 330 Palestinian bodies, according to Gaza’s health ministry.
World
|3 min read

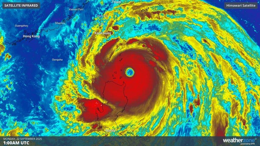
Tropical Depression Verbena Approaches Cuyo Islands, Forecasted to Impact Northern Palawan Tonight
Tropical Depression Verbena is moving toward the Cuyo Islands as of Tuesday afternoon, with meteorologists predicting its arrival over northern Palawan by tonight. The cyclone was last pinpointed near the coastal waters of Magsaysay, Palawan, sustaining maximum winds of 55 kilometers per hour and gusts up to 70 kph. The Philippine Atmospheric, Geophysical and Astronomical Services Administration (PAGASA) has maintained Tropical Cyclone Wind Signal No. 1 over multiple areas in Luzon and Visayas. This signal warns of wind speeds reaching up to 61 kph in the following regions: - **Luzon:** Occidental Mindoro, Oriental Mindoro, Romblon, northern and central Palawan municipalities including Araceli, Taytay, El Nido, Dumaran, Roxas, San Vicente, Puerto Princesa City, as well as Calamian, Cuyo, and Cagayancillo Islands; mainland Masbate municipalities including Balud, Mandaon, Milagros, Cawayan, Placer, Pio V. Corpuz, Esperanza, Uson, Dimasalang, City of Masbate, Mobo, Palanas, Aroroy, Cataingan, and Baleno. - **Visayas:** Antique, Aklan, Capiz, Iloilo, Guimaras, and the western part of Negros Occidental—encompassing cities and towns such as Himamaylan, Binalbagan, Isabela, Hinigaran, Pontevedra, La Carlota City, Moises Padilla, La Castellana, Valladolid, San Enrique, Bago City, Pulupandan, Bacolod City, Talisay City, Silay City, Enrique B. Magalona, Victorias City, Manapla, Murcia, Ilog, Kabankalan City, Cauayan, Sipalay City, Candoni, and Hinoba-An. After making landfall in Palawan, Verbena is expected to continue westward into the West Philippine Sea and leave the Philippine Area of Responsibility by Thursday. PAGASA has also issued a gale warning over several regions due to anticipated rough to very rough seas. Sea travelers and coastal communities are advised to exercise caution during this period. The highest expected wave heights are: - Up to 6 meters: Seaboards of Batanes, Babuyan Islands, Ilocos Norte, and Ilocos Sur. - Up to 5 meters: Seaboards of Kalayaan Islands and northern mainland Cagayan. - Up to 4.5 meters: Remaining seaboards of the Ilocos Region and mainland Cagayan. - Up to 4 meters: Western seaboards of northern mainland Palawan and Calamian Islands. - Up to 3.5 meters: Seaboards of Isabela, Aurora, northern mainland Quezon, Camarines Norte, Antique, Cuyo Islands, western Occidental Mindoro including Lubang Islands, eastern Albay and Sorsogon, southern Occidental Mindoro and Oriental Mindoro, northern and eastern Polillo Islands, Catanduanes, and Northern Samar. - Up to 3 meters: Western seaboard of Bataan, eastern seaboards of Eastern Samar and Dinagat Islands, northern and eastern seaboards of Siargao-Bucas Grande Islands. - Up to 2.5 meters: Seaboards of Marinduque, Romblon, Aklan, Surigao del Sur, Davao Occidental; eastern Oriental Mindoro, Camarines Sur, Davao Oriental; western Negros Occidental and other parts of Palawan; remaining seaboards of Quezon and Catanduanes. - Up to 2 meters: Seaboard of Batangas and Bantayan Islands; northern Negros Occidental; remaining Occidental Mindoro, Oriental Mindoro, Bicol Region, and Northern Samar. Authorities continue to monitor Tropical Depression Verbena and urge the public to stay updated on weather advisories as the situation develops.
World
|3 min read

Tropical Storm Verbena Strengthens, Approaching Severe Category
Tropical Storm Verbena, which intensified late Tuesday, is expected to further strengthen and potentially reach the severe tropical storm classification by Wednesday afternoon, according to the Philippine Atmospheric, Geophysical and Astronomical Services Administration (PAGASA). As of 5 a.m. Wednesday, Verbena was recorded to have maximum sustained winds of 85 kilometers per hour near its center, with gusts reaching up to 105 kph. The storm was located approximately 130 kilometers west of Coron, Palawan, advancing west-northwest at a speed of 25 kph. PAGASA issued Signal No. 2 warnings for the Calamian Islands and the northernmost parts of mainland Palawan, including areas such as El Nido and Taytay, where gale-force winds are expected. Signal No. 1 has been raised for Occidental Mindoro, the northern and central sections of Palawan—which cover Dumaran, Roxas, San Vicente, and Puerto Princesa City—as well as the Cuyo and Kalayaan Islands, indicating the presence of strong winds. The weather bureau also noted that the combined effect of Verbena and the northeast monsoon, locally known as "amihan," will produce gusty conditions across most of Luzon, and in the provinces of Aklan, Antique, Capiz, and Negros Occidental. Gale warnings remain active over the coastal waters of northern Luzon and the western seaboard of southern Luzon. Forecasts indicate the storm will pass north of the Kalayaan Islands during the day and is expected to exit the Philippine Area of Responsibility by Thursday.
World
|2 min read

World Robot Olympiad Kicks Off in Singapore with Global Youth Competitors
The World Robot Olympiad commenced in Singapore on Wednesday, drawing hundreds of young competitors from around the globe, some as young as eight years old, to showcase their robotic solutions to practical problems. Established in 2004 in Singapore and hosted in Turkey last year, the annual event emphasizes the vital role of technology and science in enhancing everyday life through the creativity of young innovators. This year, a total of 594 teams comprising 1,571 participants hailing from 91 nations are set to compete on Thursday and Friday under the theme "The Future of Robots." The focal point of the competition is to explore how robotics can address global challenges and contribute to improving human life, according to the event organizers. Contestants, ranging in age from eight to 22, qualified through local and national contests to earn their places on the international stage. They are categorized by age groups to compete across various challenges. One event requires participants to design and program robots capable of navigating a game field that changes dynamically with each round, compelling the machines to make autonomous decisions. In the "RoboSports" category, robots engage in "double tennis" matches, competing head-to-head. Another segment involves creating robotic projects aimed at solving real-world issues. For competitors aged 14 to 22, a special challenge involves developing autonomous driving robots that can independently steer and complete a designated track. Grace Fu, Singapore's Minister for Sustainability and the Environment, highlighted the event's significance, stating, "This year’s theme invites participants to design intelligent machines for a smarter future. Robotics is a vital growth sector for Singapore." She added, "We are advancing technologies such as autonomous vehicles, drones for safely cleaning high-rise building exteriors, and robots supporting healthcare services."
World
|2 min read

Ukraine Embassy Denies Russian Claims of Filipino Recruitment for Ukrainian Forces
The Embassy of Ukraine in Manila has categorically dismissed statements from a Russian official claiming that Filipino citizens are being enlisted to join Ukrainian military efforts amid the ongoing conflict between Ukraine and Russia. In a statement released on Friday, November 28, the embassy rejected the accusations made by the Russian Ministry of Foreign Affairs, describing them as "baseless and have no factual foundation." "We reject and refute the baseless fabrications of the Russian Ministry of Foreign Affairs regarding the alleged recruitment of Filipino nationals to participate in hostilities on the side of Ukraine. These claims have no factual foundation whatsoever and do not correspond to reality," the statement emphasized. The clarification responded directly to remarks by Maria Zakharova, spokesperson for the Russian Foreign Ministry, who asserted that an American security firm had launched a recruitment drive in the Philippines to enlist locals for the Ukrainian army. Zakharova further claimed that recruits were promised a monthly salary of approximately $5,000 (around PHP 293,000) and would receive training from American instructors in San Fernando. Ukraine's embassy dismissed these assertions as deliberate misinformation, asserting that such narratives form part of a coordinated Russian disinformation campaign aimed at discrediting Ukraine and its armed forces. The embassy cited similar unfounded reports concerning recruitment efforts in South Korea as evidence of this strategy. "Now Russian propagandists have decided to spread another fabricated story in the Philippines. This demonstrates a deliberate focus of Russian propaganda on the states of Southeast Asia," the embassy added. Furthermore, the Ukraine Embassy urged governments and international partners to exercise caution and responsibility in handling information to prevent the spread of falsehoods intended to destabilize trust and peace. The embassy reaffirmed the strong, friendly, and dynamic bilateral relations between Ukraine and the Philippines, grounded in mutual respect, trust, and commitment to international law. This was underscored by a recent telephone conversation between the presidents of both nations, emphasizing their ongoing collaboration and partnership.
World
|2 min read

Tropical Disturbance Enters Philippine Area, Forecast to Develop into Tropical Depression Wilma
The Philippine Atmospheric, Geophysical, and Astronomical Services Administration (PAGASA) reported that a low pressure area (LPA) entered the Philippine Area of Responsibility (PAR) at 2 p.m. on Wednesday, December 3. Positioned approximately 1,095 kilometers east of southeastern Luzon by 3 p.m., the system remains distant and poses no immediate threat to the country. However, PAGASA has indicated a high probability that the LPA will intensify into a tropical depression within the next 24 hours. Upon development, it will be designated as "Wilma," the 23rd tropical cyclone of 2025 and the first to form in December. The weather bureau anticipates one or two tropical cyclones will enter or form within PAR this month. In preparation, PAGASA issued an initial rainfall advisory at 5 p.m. on Wednesday, highlighting significant rainfalls expected towards the end of the week, particularly in Eastern Visayas and the Bicol region. **Rainfall Forecast:** - *Thursday afternoon (Dec. 4) to Friday afternoon (Dec. 5):* Moderate to heavy rains (50–100 mm) are forecasted in Northern Samar and Eastern Samar. - *Friday afternoon (Dec. 5) to Saturday afternoon (Dec. 6):* Moderate to heavy rainfall (50–100 mm) is expected over Catanduanes, Camarines Sur, Albay, Sorsogon, Northern Samar, Eastern Samar, Samar, and Biliran. Residents in these areas are advised to prepare for potential flooding and landslides. In addition, the northeast monsoon (locally known as "amihan") is bringing moderate to occasionally heavy rains to Cagayan Valley and the Cordillera Administrative Region, with isolated light showers in parts of the Ilocos Region and Central Luzon. Furthermore, the presence of a shear line—where cold air from the northeast monsoon meets warm easterly winds from the Pacific Ocean—could cause scattered rain and isolated thunderstorms in Aurora, Quezon, and Camarines Norte. PAGASA also noted that the intertropical convergence zone may trigger scattered rain and thunderstorms in Basilan, Sulu, and Tawi-Tawi, raising concerns about possible flash floods and landslides. Officials continue to monitor the situation closely and urge the public to stay alert for updates as the weather conditions evolve.
World
|2 min read

Canada Strengthens Strategic Ties with the Philippines Amid Shifting North American Geopolitics
In response to the evolving geopolitical landscape in North America, Canada is actively seeking to deepen its relationships beyond the continent, with the Philippines emerging as a significant partner. The bilateral ties between these two countries are notably warming, marked by increased naval visits and joint military exercises. This expansion in security cooperation is particularly timely, given the growing unpredictability of the United States in global and defense affairs. The Philippines, facing an assertive China in the region, views Canada as a dependable ally to bolster its defense capabilities. Marites Vitug, editor-at-large, highlights the importance of this partnership amidst the current global uncertainties. The collaboration between Canada and the Philippines reflects a strategic pivot as both nations navigate shifting alliances and security challenges. The strengthening of this relationship underscores Canada's broader initiative to build resilient international alliances amidst a fluid political environment in its traditional neighborhood.
World
|1 min read